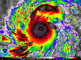
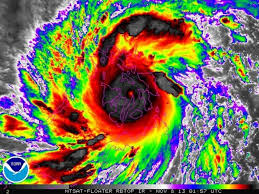
Il bilancio delle vittime del super tifone Hayan che ha colpito le Filippine potrebbe arrivare alla cifra di oltre 10.000 morti. Lo hanno riferito le autorita’ locali. Circa il 70-80% delle abitazioni che si trovavano lungo il percorso del tifone sono state distrutte”, hanno affermato le autorità
APR news
f ag

Lascia un commento